Digita indirizzo, città o provincia
Vicino a dove ti trovi
Seleziona zona su mappa
Disegna area su mappa
Seleziona una o più zone
ZoneVedi zone su mappa
Mostra filtri
Salva ricerca
Abbiamo trovato 932 risultati per:

1/23
Il tuo angolo di tranquillità a Mompiano, in affitto.
82696
2.500 € /mese
Disponibile dal primo di Gennaio 2026, soluzione così non capitano spesso, meglio muoversi con anticipo ! In una delle zone più tranquille e riservate di Mompiano, a due passi da tutti i servizi ma immersa nel verde delle colline e lontana dal traffico, ti aspetta una casa davvero speciale. Un appartamento quadrilocale al piano terra di una villa elegante composta da tre unità abitative, perfetta per persone che amano la quiete e la qualità. Siamo al piano terra di una villa signorile, abitata da persone che, come te, hanno scelgono la qualità. Lingresso ti accompagna nel soggiorno di quasi 50 mq con camino, dove potrai goderti il calore del fuoco nelle serate dinverno. La cucina è abitabile, la zona pranzo separata con il classico tinello di oltre 18 mq ideale per la colazione in famiglia o una cena tra amici. Nella zona notte ti aspettano tre camere: una matrimoniale di quasi 20 mq con bagno padronale finestrato, una doppia con balcone e una terza stanza di 12 mq, perfetta anche come studio, ampio bagno con finestra. Il parquet dona a tutte unatmosfera accogliente e calda. Tutta la casa ha accesso diretto al giardino esclusivo di oltre 1.000 mq, un parco privato con alberi di cedro e acero che regalano ombra, privacy e una bellezza senza tempo. Un angolo di natura tutto per te, da vivere ogni giorno. Questa casa non è solo un appartamento: è uno stile di vita. E non finisce qui: al piano interrato hai a disposizione una cantina comoda e ben organizzata, oltre a due autorimesse. La zona è tranquilla, possibilità di parcheggiare altre vetture davanti a casa. L'immobile viene affittato NON ARREDATO. Si affitta a persone con adeguate referenze dimostrabili LaCasa Studio Immobiliare non è un'agenzia come le altre. A differenza delle agenzie tradizionali noi non ci limitiamo solo a mostrarti le abitazioni che abbiamo a disposizione, ma vogliamo aiutarti a trovare la tua casa ideale, proprio per questo, prima di fartela vedere, ti faremo una breve "intervista" telefonica o ancora meglio in agenzia se preferisci, in modo da poter capire insieme se sia la soluzione giusta per te! Questo ti permetterà di evitare inutili giri a vuoto e perdere tempo inutilmente. Lo Studio Immobiliare La Casa è presente da oltre 20 anni a Brescia, dove opera con professionalità e trasparenza. Mettiamo il cliente al centro e lo facciamo ogni giorno con passione. Vuoi vendere o affittare il tuo immobile ? Pensiamo a tutto noi, Chiamaci ! www.lacasastudio.it




1/20
Ufficio - Ufficio a Centro Storico, Brescia
Centro Storico
690 € /mese
Brescia (Centro Storico) - ufficio a piano terra ubicato nel cortile della Loggia delle Mercanzie, già "Palazzo Lechi", edificata nel XVI secolo. L'immobile è un open space di 45 mq con porta a vetri all'ingresso, che porta luminosità all'ambiente. Il bagno di pertinenza è al piano inferiore. Libero da settembre CLASSE ENERGETICA: G - INDICE DI PRESTAZIONE ENERGETICA: 175,00 kWh/m²/anno Specialist: Vittorio Freschi - freschi@benimpre.com www.benimpre.com – 0300982096 Benimmobili Impresa è un brand di Benimmobili Gruppo Immobiliare Associato, la cui sede è situata nel cuore di Brescia Due, in Via Malta 7. Benimmobili Impresa offre servizi mirati e personalizzati per la locazione e la vendita di immobili ad uso Commerciale, Direzionale, Artigianale, Industriale, logistico e immobili a reddito da investimento oltre a seguire operazioni di Sviluppo Immobiliare.




1/24
VARESE CENTRO ESCLUSIVO ATTICO
86817
1.800 € /mese
Via Mercadante, appartamento di charme al piano attico, in piaccola palazzina di nuovissima ristrutturazione. Questo interessante appartamento, raggiungibile con ascensore, si compone di soggiorno, cucina a vista - arredata a nuovo - due camere da letto e due bagni. Completano la dotazione due terrazzini. Questa nuova proposta immobiliare ben si addice alle esigenze di single o coppie che non vogliono rinunciare ad un ambiente di charme a due passi dal centro storico cittadino. CHIAMA ORA PER QUESTA NUOVA PROPOSTA IMMOBILIARE! Classe Energetica A4 3.4 kWh/mqa. Possibilità autorimessa. SPESE MENSILI 100




1/16
UFFICIO IN AFFITTO
Milano
1.333 € /mese
Ufficio Mq 48, ca in affitto Stazione Centrale Opportunità Immobile di Prestigio presso Stazione Centrale a Milano! Posizione Premium al Piano 5 Se sei un professionista o una piccola impresa in cerca di un ambiente lavorativo di classe nella vivace zona di Stazione Centrale a Milano, questa è l'opportunità che stavi aspettando! Bassissime Spese di Condominio Il nostro immobile offre non solo una posizione privilegiata, ma anche la convenienza di bassissime spese condominiali, garantendo un ambiente di lavoro senza stress per il tuo bilancio aziendale. Ottimamente Tenuto e Curato Entrando in questo spazio impeccabile, sarai accolto da un ambiente professionale che trasuda stile e cura. Ogni dettaglio è stato attentamente curato per offrire il massimo comfort e produttività. Superficie di mq 48, Suddivisi in 2 Ambienti con Bagno Questo spazio, con una superficie di 48 metri quadrati, è suddiviso in due ambienti distinti, offrendo flessibilità e versatilità per le tue attività lavorative. Inoltre, è dotato di un bagno privato per la tua comodità e privacy. Sia che tu sia un libero professionista, uno studio legale, una start-up o un'azienda consolidata, questo spazio è pronto ad adattarsi alle tue esigenze lavorative. Non lasciarti sfuggire questa occasione unica di stabilire la tua presenza nel cuore di Milano. Per prenotare una visita o ricevere ulteriori informazioni, contattaci oggi stesso!




1/20
Porzione di casa di 59 mq a Milano
Vigentino
600 € /mese
- Stanza in affitto per studenti – Via Noto 10, Milano In appartamento condiviso, proponiamo una stanza in affitto al terzo piano di uno stabile tranquillo, situato in Via Noto 10, a pochi minuti dalle principali università e ben collegato con i mezzi pubblici. L’appartamento è composto da: - Ampio soggiorno con angolo cottura - Zona lavanderia - Bagno con ampia doccia (cieco) - Due camere da letto, di cui una disponibile (evidenziata in rosso nella planimetria) !!! Posizione strategica per studenti !!! A pochi passi dalla sede di Università degli Studi di Milano – Via Noto A circa 25 minuti dalla Bocconi con tram 24 A circa 30 minuti dalla IULM con mezzi pubblici 💰 Canone mensile: €600 🔌 Spese mensili (condominio, utenze, internet): €150 🚗 Posto auto disponibile su richiesta: €150 al mese (spese incluse) 📸 La stanza è luminosa, arredata e pronta per essere abitata. Ideale per studenti universitari che cercano un ambiente confortevole e ben organizzato. !!! Disponibilità immediata!!! Per informazioni o per fissare una visita, contattaci direttamente. Le informazioni contenute hanno carattere puramente informativo e, salvo ove diversamente previsto, non costituiscono una proposta contrattuale né un'offerta al pubblico ai sensi dell'art. 1336 del Codice Civile dei servizi descritti, né possono considerarsi impegnative per qualsivoglia trattativa o relazione commerciale.




1/20
Ufficio di 200 mq a Magnago
Magnago
850 € /mese
MAGNAGO: proponiamo in Affitto, UFFICIO/LABORATORIO posto al Piano Primo, composto da due locali: ufficio mq. 50 con bagno, laboratorio mq. 150) e due bagni.<br><br>La richiesta economica è di euro 850,00 (mensili) - Classe Energetica F - EPgl,nren 341.16 kWh/mqa. - Rif. 395<br><br>I dati e le informazioni riportate nella presente scheda, non hanno alcun contenuto contrattuale e devono essere considerate indicative come sono puramente indicative le planimetrie e le metrature indicate. Eventuali arredi visibili nelle fotografie non sono oggetto della vendita.<br> <br>Per maggiori informazioni o per fissare un appuntamento per una visita, potete contattarci direttamente allo 0331.51.99.99 o se preferite, scriveteci tramite mail all’indirizzo: legnano@bpre.it e sarete ricontattati nel più breve tempo possibile. <br> <br>Inoltre, nel caso in cui per perfezionare l’acquisto, necessitiate di vendere il vostro attuale immobile, la nostra società potrà curare tutti gli aspetti necessari, suggerendovi la miglior soluzione di vendita nel minor tempo possibile partendo dalla Giusta Valutazione del vostro immobile. <br><br>La Valutazione della Casa è un passo molto importante soprattutto se si vuole vendere in tempi rapidi e con il massimo profitto.<br><br>Per sapere quanto vale il vostro immobile, contattateci direttamente senza impegno e saremo lieti di fissare un appuntamento per la Giusta Valutazione. <br><br>Rimanendo a vostra disposizione per qualsiasi ulteriore informazione, vi ringraziamo per aver valutato la nostra offerta.<br><br>B&P Real Estate S.A.S. Legnano (MI) Via C. Del Fante n.16 - Tel. 0331.51.99.99 - mail: legnano@bpre.it - Sito Internet: www.bpre.it



1/20
Ufficio di 95 mq a Trezzo sull'Adda
Trezzo Sull'adda
800 € /mese
L'ufficio si trova a Trezzo sull'Adda, in una posizione strategica e ben collegata con le principali vie di comunicazione della zona. Si tratta di un immobile in affitto, situato al primo piano di un edificio di due piani, con una superficie totale di 95 metri quadrati. L'ufficio è composto da tre ampi locali, che possono essere adattati alle esigenze e alle attività del locatario. Ogni ambiente è dotato di ampie finestre che permettono un'ottima illuminazione naturale, creando un'atmosfera luminosa e confortevole. Il bagno, anch'esso presente all'interno dell'ufficio, è dotato di tutti i servizi essenziali e risulta essere in ottime condizioni. Per quanto riguarda le spese condominiali, queste ammontano a 30 euro al mese. L'ufficio è ideale per professionisti o aziende che necessitano di uno spazio funzionale e ben organizzato, in una zona tranquilla e ben servita. Non c'è box o posto auto nell'area cortilizia. Ideale per studi professionali. Garanzia richiesta 3 mesi di cauzione all'ingresso. Affitto pagabile in 12 rate mensili anticipate. Canone NON soggetto ad iva. Libero subito Il presente annuncio non costituisce, in alcun modo, vincolo contrattuale in relazione al fatto che potrebbe includere errori di trascrizione riguardo i dati indicati. Invitiamo per correttezza a verificare personalmente i dati al momento della visione, nella massima trasparenza. RE/MAX è una rete internazionale di Agenzie Immobiliari Autonome e Indipendenti.




1/18
Negozio a Brescia Sud, Brescia
Brescia Sud
1.300 € /mese
Brescia, Via Orzinuovi, in zona commerciale di forte passaggio proponiamo in locazione negozio fronte strada di 160mq dotato di quattro ampie vetrine. Il locale internamente si presenta con un ambiente ampio e luminoso in soluzione di open space, oltre ad un pratico bagno con antibagno. Il riscaldamento é autonomo e le spese condominiali sono assenti. Posizione strategica, ben collegata ad un passo dalle tangenziali / autostrada e dal centro città. Possibilità di parcheggio. Disponibilità immediata. Rif.N2502




1/17
Negozio a Centro città, Brescia
Centro Città
2.800 € /mese
Brescia, zona centro storico, in Corso Martiri della Libertà, proponiamo in locazione affascinante negozio disposto su due livelli. Al piano terra una superficie commerciale di mq 234 ed al piano interrato una superficie di mq 195. L'immobile è dotato di due due ampie vetrine fronte strada e si presenta in ottime condizioni, le finiture sono di buon livello. La posizione è unica e strategica in quanto notevole il passaggio pedonale ed anche veicolare. L'ingresso è elegante, il pavimento è in ceramica monocottura ed al piano interrato il soffitto è a volti in mattoni a vista. I serramenti esterni con cristalli blindati. La soluzione risulta unica ed imperdibile. Gli impianti perfetti, climatizzazione estiva ed invernale. Perfetto per un'attività commerciale o professionale. Disponibilità immediata. Rif. 102 Agente di riferimento: Sig.ra Roberta Mola tel. 335.7058073. mail: roberta.mola@comimmobiliare.it




1/46
AFFITTI BREVI LAVORATORI e STUDENTI
1.100 € /mese
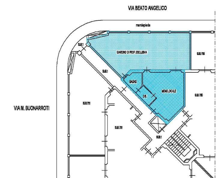
MONOLOCALE arredato ampio CON GIARDINO PRIVATO Inclusi box, cantina, utenze, spese condominiali e Wi-Fi LIBERO Proponiamo in affitto un monolocale di ampia metratura, completamente arredato e dotato di giardino privato, box auto e cantina. L'immobile si trova in zona centrale, ben servita da mezzi pubblici con collegamenti diretti per: Università Città Alta Ospedale Aeroporto Stazione Centrale Caratteristiche dellappartamento: Completamente arredato e accessoriato: lenzuola, stoviglie, lavatrice, lavastoviglie, forno, ecc. Immerso nel verde ma in posizione strategica Contratto regolarmente registrato Affitto minimo: 6 mesi Cauzione: 1 mensilità Spese agenzia escluse Incluso nel canone mensile: Utenze (luce, acqua, gas) Spese condominiali Wi-Fi Requisiti: Disponibile per lavoratori referenziati o studenti universitari Non è consentito il trasferimento di residenza Animali non ammessi Contatti: Chiamate o scrivete via WhatsApp negli orari dufficio. No e-mail No agenzie CLASSE ENERGETICA: E (D. M. 26/06/2015)INDICE PRESTAZIONE ENERGETICA GLOBALE NON RINNOVABILE (EPgl, nren):



1/21
AFFITTO BILOCALE VILLA SAN GIOVANNI
84694
1.000 € /mese
via Soffredini a pochi passi dalla Linea Rossa M2 fermata villa San Giovanni, appartamento in affitto disponibile dal 15 Luglio. Ampio soggiorno con divano letto, cucina a vista, balcone, camera da letto con cabina armadio, bagno con doccia. Riscaldamento autonomo, split freddo/caldo nel soggiorno e nella camera da letto, acqua calda autonoma con boiler elettrico. Contratto di locazione di tipo transitorio 1+1 in cedolare secca. € 1.000 mensili più € 150 spese condominiali. CODICE ANNUNCIO: Fly 53. Cell 351-8403277 Le informazioni della presente scheda sono puramente indicative e non costituiscono condizioni contrattuali, le metrature sono del tutto indicative e non potranno essere utilizzate come parte integrante in un eventuale contratto di vendita o locazione della proprietà. Per qualsiasi consulenza immobiliare contattare i nostri Brokers. Casa Fly sta cercando per la propria clientela immobili di diversa tipologia, anche da ristrutturare, contattateci per una consulenza immobiliare gratuita inviando una mail a info@casa-fly.com. La Privacy Policy è consultabile sul nostro sito.




1/10
Ampio Monolocale Luminoso
Milano
1.400 € /mese
Disponibile dal 6 Ottobre 2024 A pochi passi dal Naviglio Grande, zona centrale della movida milanese ricca di negozi ristoranti/bar, e dalla NABA - DOMUS Academy - Università BOCCONI. Si affitta monolocale di 50 mq sapientemente arredato: soggiorno con letto matrimoniale a scomparsa dentro mobile/divano, angolo con cucina e bancone all'americana, soppalco con altro letto matrimoniale, antibagno e bagno con doccia. L'appartamento si trova al piano terra, con accesso in cortile condominiale. E' presente il servizio di portierato. Canone di locazione: 1.200 €/mese + 200 €/spese condominiali Utenza elettrica, WiFi e Tari (tassa rifiuti) a carico dell'inquilino. Deposito Cauzionale. € 3.600 (3 mesi) Contratto Transitorio: minimo 12 mesi, max 18 mesi MEZZI: Tram 3-59-71 a 150 mt; Metro M2 - fermata Porta Genova e Romolo 1km Per ulteriori informazioni, non esitate a contattare il 351.935.3809.




1/21
BILOCALE ARREDATO E LUMINOSO - VIA SAN CALOCERO
84678
1.650 € /mese
Nel cuore di Porta Genova, in prossimità di Viale Papiniano e della Darsena, proponiamo in locazione un luminoso bilocale a pochi passi dalle fermate M2 SantAmbrogio e SantAgostino, circondato dai tram 2 e 14 e dallautobus 94. Questo bilocale è situato in uno stabile d'epoca della vecchia Milano sprovvisto di ascensore, a breve distanza dallUniversità Cattolica, dalle basiliche storiche e da ogni servizio di quartiere. Lappartamento di 46 mq si trova al secondo piano ed è composto da soggiorno con cucina a vista, spazio luminoso e ben distribuito, camera da letto matrimoniale, bagno e un comodo disimpegno. Libero da subito. Richiesta: 1.650 al mese oltre spese.




1/20
Ufficio di 135 mq a Busnago
Busnago
900 € /mese
<strong>Ufficio di rappresentanza in affitto a Busnago – visibilità e comfort nel Centro “Globo”</strong><br>In posizione di assoluto rilievo, all’interno del <strong>Centro Commerciale “Globo”</strong> di Busnago, il Geom. <strong>Stefano Tronca</strong>, Perito ed Agente Immobiliare di <strong>Siacasa Immobiliare</strong>, propone in <strong>locazione un elegante ufficio di rappresentanza</strong> di circa <strong>135 mq</strong>, posto al <strong>primo piano</strong> e <strong>servito da ascensore</strong>.<br>L’immobile, <strong>libero subito</strong>, si distingue per la distribuzione funzionale degli spazi: <strong>sei locali</strong> ben illuminati, <strong>doppi servizi</strong> (di cui uno attrezzato per persone con disabilità) e <strong>locale archivio</strong>. Gli ambienti sono già pronti all’uso e si prestano perfettamente per <strong>uffici direzionali, studi professionali o sedi operative</strong> che necessitano di <strong>immagine e comodità</strong>.<br>Dotato di <strong>impianto elettrico e di condizionamento</strong> e completamente <strong>termoautonomo</strong>, l’ufficio offre un elevato livello di comfort.<br> Il contesto è dinamico e strategico: il centro ospita <strong>ristoranti, bar e ufficio postale</strong>, oltre a <strong>ampie aree parcheggio</strong> riservate al centro uffici, che rendono l’ambiente pratico e ideale per accogliere clienti e collaboratori.<br>La posizione, lungo la <strong>Strada Provinciale SP2</strong>, assicura <strong>massima visibilità e collegamenti rapidi</strong> con Monza, Trezzo sull’Adda e l’intera Brianza.<br>Il <strong>canone di locazione è di € 900 mensili oltre IVA</strong>, con <strong>spese condominiali a parte</strong> pari a <strong>€ 100 al mese</strong>, per un <strong>canone annuo complessivo di € 10.800 oltre IVA</strong>.<br> <strong>Classe energetica D – Eph 29,00 kWh/m³a.</strong><br>Per informazioni e appuntamenti:<br> <strong>Geom. Stefano Tronca – Perito ed Agente Immobiliare di Siacasa Immobiliare</strong>



1/20
Altro di 100 mq a Pieve Emanuele
Pieve Emanuele
2.600 € /mese
SPAZIO COMMERCIALE VIALE UMBRIA 20 PIEVE EMANUELE Nella via commerciale adiacente all'istituto Humanitas, proponiamo un locale commerciale di circa 100 metri quadrati. Attualmente è libero per l'affitto e pronto per essere occupato al rogito. Il locale si presenta a livello strada, facilmente accessibile e molto visibile dal pubblico. Dispone di 3 locali interni, tra cui uno utilizzabile come magazzino o ufficio, ed un bagno. La presenza di una vetrina, che si affaccia sulla strada, garantisce una buona visibilità dei servizi offerti. Le spese condominiali ammontano a 50 euro al mese, contribuendo a mantenere il locale in buone condizioni. La pertinenza comprende uno spazio esterno dove poter parcheggiare anche 3 auto. Non esitare a contattarci per avere maggiori informazioni su questo o su altri immobili gestiti dal Gruppo RE/MAX! Devi affittare un immobile? Contattaci! Facciamo parte del Network Immobiliare n.1 al Mondo e con le nostre agenzie e i nostri Consulenti affiliati saremo in grado di valorizzare al massimo il tuo immobile, seguendoti con professionalità ed impegno fino alla locazione alle migliori condizioni, con le migliori garanzie e le tempistiche più adatte alle tue esigenze. Ci trovi anche su Facebook e su Instagram, cerca le nostre pagine e seguici! Informazioni, immagini e video contenute in questo annuncio hanno scopo prettamente informativo e non costituiscono, in alcun caso, elemento contrattuale.






Chiedi agli agenti immobiliari esperti della regione Lombardia
Chiedi agli agenti immobiliari della regione Lombardia quali sono gli immobili che potrebbero soddisfare al meglio le tue richieste.